« Un objectif sans plan n'est qu'un souhait. » - Antoine de Saint-Exupéry

Plans

Ici vous trouverez les plans que j'ai réalisés dans différents domaines (agencement, électrique, cadastraux, plans de situations, de masse...).

Étude, fabrication et pose d'un agencement de bureau haut.

Bureau

Agencement en pin massif

Étude, fabrication et pose d'un agencement de salle de bain.

Salle de bain

Agencement en pin massif et miroirs
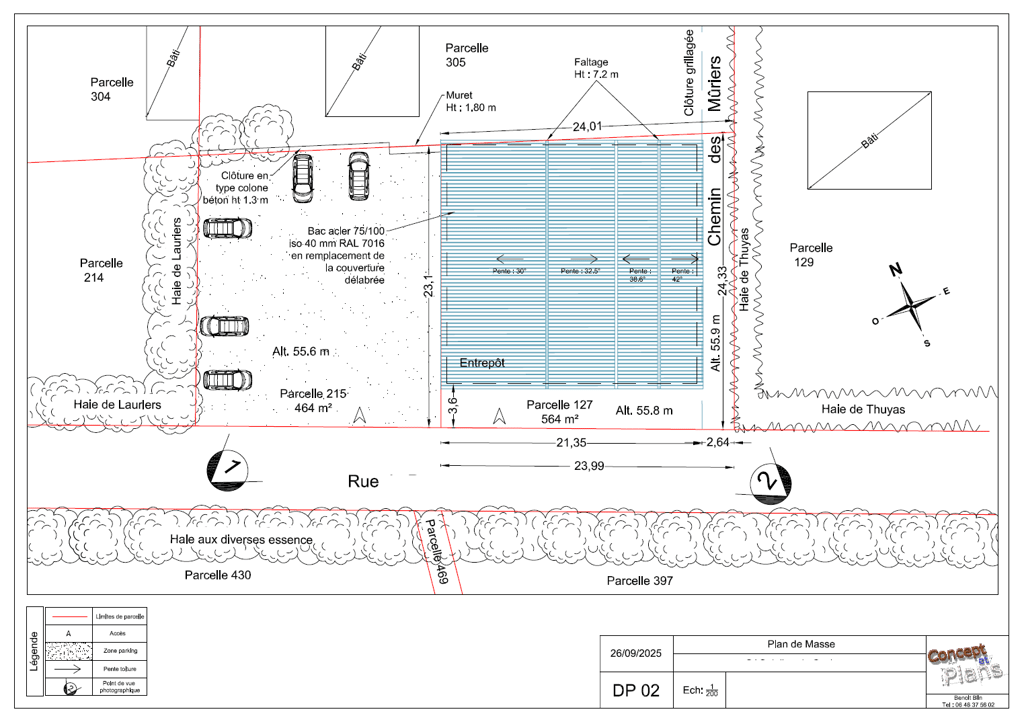
Plan de situation et plan cadastrale dans le cadre d'une déclaration préalable.
Plan de situation et plan cadastrale dans le cadre d'une déclaration préalable.

PC 01/ DP 01

Édité dans le cadre d'une demande de permis de construire ou d'une déclaration préalable.

Plan de situation et plan cadastral

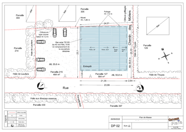
PC 02 / DP 02

Plan simple édité dans le cadre d'une demande de permis de construire ou d'une déclaration préalable.

Plan de masse

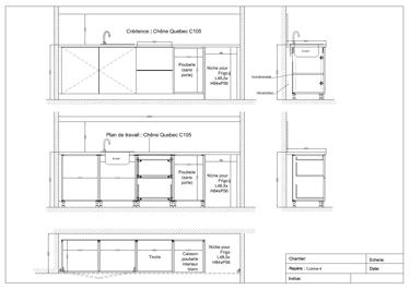
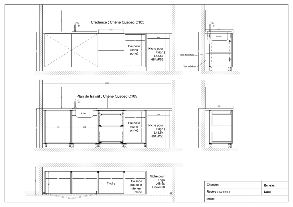
Agencement cuisine

Édité au format A3 pour fabrication en atelier. Communication avec le bureau d’étude.
Sert notamment pour établir un débit
(ci-dessous, à partir de panneaux de mélaminé blanc et chants en ABS).

Plan de fabrication
Plan 2D-3D

Planche mêlant vues en 3D et plan pour une présentation de projet de sauna en extérieur en douglas (75x200).

Présentation

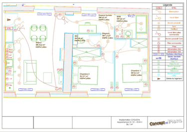
Implantation électrique

Plan servant de communication avec un architecte pour validation, et au poseur pour l’implantation des équipements et réseaux électriques.

Plan de pose
Plan de fabrication

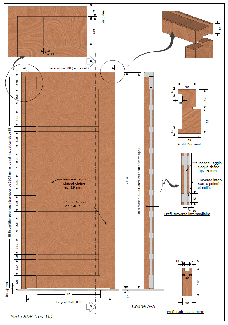
Plan de fabrication d'une porte en chêne massif et panneaux 19 mm plaqué chêne.

Porte en chêne